You’re out of free articles.
Log in
To continue reading, log in to your account.
Create a Free Account
To unlock more free articles, please create a free account.
Sign In or Create an Account.
By continuing, you agree to the Terms of Service and acknowledge our Privacy Policy
Welcome to Heatmap
Thank you for registering with Heatmap. Climate change is one of the greatest challenges of our lives, a force reshaping our economy, our politics, and our culture. We hope to be your trusted, friendly, and insightful guide to that transformation. Please enjoy your free articles. You can check your profile here .
subscribe to get Unlimited access
Offer for a Heatmap News Unlimited Access subscription; please note that your subscription will renew automatically unless you cancel prior to renewal. Cancellation takes effect at the end of your current billing period. We will let you know in advance of any price changes. Taxes may apply. Offer terms are subject to change.
Subscribe to get unlimited Access
Hey, you are out of free articles but you are only a few clicks away from full access. Subscribe below and take advantage of our introductory offer.
subscribe to get Unlimited access
Offer for a Heatmap News Unlimited Access subscription; please note that your subscription will renew automatically unless you cancel prior to renewal. Cancellation takes effect at the end of your current billing period. We will let you know in advance of any price changes. Taxes may apply. Offer terms are subject to change.
Create Your Account
Please Enter Your Password
Forgot your password?
Please enter the email address you use for your account so we can send you a link to reset your password:
On storm damage, the Strait of Hormuz, and Volkswagen’s robotaxi

Current conditions: A dangerous heat dome is forming over central states today and will move progressively eastward over the next week • Wildfire warnings have been issued in London • Typhoon Wutip brought the worst flooding in a century to China’s southern province of Guangdong.
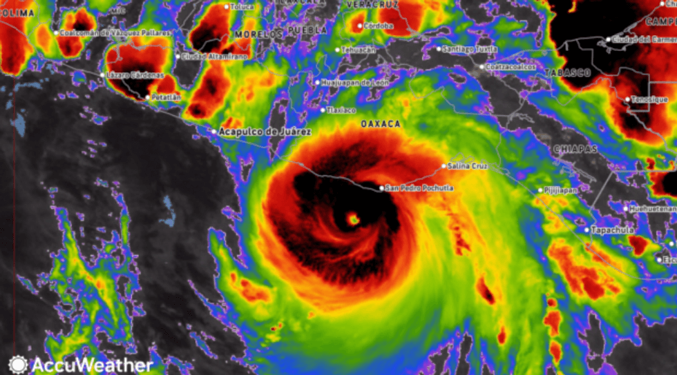
Hurricane Erick made landfall as a Category 3 storm on Mexico’s Pacific coast yesterday with maximum sustained winds around 125 mph. Damages are reported in Oaxaca and Guerrero. The storm is dissipating now, but it could drop up to 6 inches of rain in some parts of Mexico and trigger life-threatening flooding and mudslides, according to the National Hurricane Center. Erick is the earliest major hurricane to make landfall on Mexico's Pacific coast, and one of the fastest-intensifying storms on record: It strengthen from a tropical storm to a Category 4 storm in just 24 hours, a pattern of rapid intensification that is becoming more common as the Earth warms due to human-caused climate change. As meteorologist and hurricane expert Michael Lowry noted, Mexico’s Pacific coast was “previously unfamiliar with strong hurricanes” but has been battered by epic storms over the last two years. Acapulco is still recovering from Category 5 Hurricane Otis, which struck in late 2023.

An oil tanker collision near the Strait of Hormuz is raising environmental and security concerns. The accident in the Gulf of Oman involved the Adalynn and Front Eagle tankers. It caused a “small oil spill,” according to the Emirati government, but Greenpeace analyzed satellite images and said the oil plume stretches some six square miles from the collision site. “This is just one of many dangerous incidents to take place in the past years,” said Greenpeace campaigner Farah Al Hattab. The Strait of Hormuz is a choke point for oil shipments, with about one-third of the volume of crude exported by sea moving through that route. Oil prices have been on a roller coaster ride since Israel launched airstrikes against Iran on June 13. Ships in the region have been reporting more GPS navigation interference in recent days. “If the conflict continues, we expect these interferences to continue as well,” Jean-Charles Gordon, senior director of ship tracking at research firm Kpler, told The New York Times.
North Carolina lawmakers finalized a bill repealing a mandate that directs electric regulators to reduce their carbon dioxide emissions by 70% by 2030. The mandate was part of a landmark 2021 law aimed at dramatically reducing the state’s power plant emissions. While at least 17 other states have similar laws in place, just two – North Carolina and Virginia – are in the Southeast. The new bill’s supporters say that the interim emissions goal would require energy providers to switch to more expensive power sources and that the costs would be passed on to consumers in the form of higher power bills.
Confusingly, regulators would still be asked to work toward carbon neutrality by 2050, even while the short-term emissions goal might be nixed. “Not having any target, even an aspirational target, could mean that we don’t stay on track to get to our 2050 goal,” Democratic Sen. Julie Mayfield said. The bill now goes to Democratic Gov. Josh Stein’s desk. There’s a chance he might veto it, but “with over a dozen House and Senate Democrats voting for the final version, the chances that any Stein veto could be overridden are higher,” The Associated Press reported.
The United Kingdom issued long-awaited environmental guidance that it will use to determine whether new oil and gas proposals should be approved. The guidance requires that developers estimate and include scope 3 emissions – or the downstream pollution from burning oil and gas – in their drilling applications. This “will ensure the full effects of fossil fuel extraction on the environment are recognized in consenting decisions,” the Department for Energy Security and Net Zero said. The government will consider these emissions, as well as other factors like “the potential economic impact” of a project and a company’s efforts to remove carbon dioxide when granting or denying approval. The guidance will help determine whether major new drilling projects from oil giants Shell and Equinor are approved for the North Sea.
Volkswagen Group unveiled its first fully autonomous production vehicle, the ID. Buzz AD. The electric robotaxis will target corporate customers and mobility services. They “come packed with everything that’s needed to operate them,” explained Iulian Dnistran at InsideEVs. “What makes this solution interesting compared to other ride-hailing platforms is that it enables anybody to start an Uber or Waymo rival without investing hundreds of millions of dollars in research, development, and certification.” The shuttles are slated for launch across Europe and the U.S. next year. Tesla recently announced that its first Robotaxis would hit the streets in Austin, Texas, sometime this month.

In a new peer-reviewed paper published in the journal Communications Earth & Environment, researchers conclude that offsetting the potential carbon emissions from reserves held by the world’s 200 largest fossil fuel companies would require planting new forests that are larger than the entire continent of North America.
Log in
To continue reading, log in to your account.
Create a Free Account
To unlock more free articles, please create a free account.
The number of data centers canceled after pushback set a record in the first quarter of the year, new data from Heatmap Pro shows.
Data centers are getting larger and larger. But even so, few are as large as the Sentinel Grove Technology Park, a proposed data center near Port St. Lucie, Florida.
The proposed facility — which became known as Project Jarvis — was set to be built on old agricultural land. It would use up to 1 gigawatt of electricity, enough to power a mid-size city, and bring in up to $13.5 billion in investment to the county.
The project was immediately controversial. But its developers anticipated issues: They would build their own self-contained, self-provided water facilities to service the project, and they agreed to set its 60-foot buildings back far enough from the road so that they couldn’t be seen by drivers.
It wasn’t enough. The project lost a key vote in the planning board in October. And in February, Project Jarvis’s developers withdrew their land use application entirely after Governor Ron DeSantis proposed AI regulation in the statehouse.
The facility was the largest data center project canceled after facing opposition in the first quarter of 2026. But it wasn’t the only one.
At least 20 proposed data center projects were canceled after local pushback during the first three months of 2026, smashing a record set only in the previous quarter, according to a review of press accounts, public records, and project announcements conducted by Heatmap Pro.
These canceled projects accounted for more than $41.7 billion in investment and represented at least 3.5 gigawatts of electricity demand.
The cancellations reveal the rapidly expanding backlash to data center construction has not yet peaked. From Georgia to Pennsylvania, locals have rebelled against newly proposed data centers, even when the planned facilities are not planning to run artificial intelligence models.

If anything, fights over data centers are surging now. Heatmap Pro’s researchers added roughly 100 new data center fights to their database during the first three months of the past year, a new record.
These fights are succeeding in terminating projects. Last year, roughly 25 data center projects were canceled nationwide after facing some type of local opposition, according to Heatmap Pro data. The country is likely to break that record in 2026 over the next few weeks, our data suggests — only five months into the year.
At least $85 billion in data center projects have been canceled over the past three years, according to Heatmap Pro data.

These numbers haven’t been previously reported. Over the past year, researchers at our intelligence platform Heatmap Pro have conducted a comprehensive national survey of local opposition to data center construction. They have regularly called every U.S. county to tally data center cancellations and any new rules limiting data center construction.
This data is normally available to companies and individuals who subscribe to Heatmap Pro, but we periodically publish a high-level summary of this data. We last released our results in January.
Current conditions: The East Coast’s Acela corridor is cooling down this week, with temperatures dropping from 85 degrees Fahrenheit in Philadelphia yesterday to the 60s for the rest of the week • Cape Agulhas is under one of South Africa’s Orange Level 6 warnings for damaging winds and dangerous waves • Floods and landslides in Brazil’s northern state of Pernambuco have left six dead and thousands displaced.
The Securities and Exchange Commission has advanced a measure to formally end Biden-era climate disclosure rules for publicly-traded companies. The regulator sent the proposal to the White House’s Office of Management and Budget for review on May 4, according to a post on a government website first spotted by Bloomberg. The Wall Street watchdog’s 2024 disclosure rule mandated that publicly traded companies report on the material risks climate change poses to their business models, including the financial impact of extreme weather. Some large companies would have been required to disclose Scope 1 emissions, which are produced by the firm’s own operations, and Scope 2 emissions, which are produced by companies with which the firm does off-site business such as electricity. The rule had already been watered down before its finalization to remove Scope 3 emissions, which come from suppliers up and down the value chain and from customers who use a product such as oil.
In an even bigger move, the SEC also proposed scrapping mandatory quarterly reporting for U.S.-listed companies, instead switching to a twice-yearly filing. The idea, which President Donald Trump first floated years ago as a way of getting companies to focus on longer-term goals, “would provide companies with increased regulatory flexibility,” SEC chair Paul Atkins told the Financial Times. “Public companies have an obligation under the federal securities laws to provide information that is material to investors. Yet, the rigidity of the SEC’s rules has prevented companies and their investors from determining for themselves the interim reporting frequency that best serves their business needs and investors.” While cast as part of a larger deregulatory push, the move could actually be a boon to climate action. Supporters of decarbonization have long lamented how quarterly reporting norms disincentivized costly bets that take longer than three months to pan out.
If you have ever body surfed in the ocean — or observed how docks and peers weather over time — it’s easy to intuit why harnessing renewable energy from waves is so tricky. Among experts who often list wave energy along with tidal power as two sources of underdeveloped but potentially promising renewable energy, the latter has long been considered the more commercially viable, with turbines harnessing tidal flows already in operation in France and elsewhere. Wave energy, by contrast, has been perceived as a riskier frontier in the energy industry.
That didn’t stop wave-energy startup Panthalassa from raising $140 million in a Series B round led by Silicon Valley billionaire Peter Thiel this week as the company looks to develop floating data centers that can operate in open ocean. The financing will fund the completion of the company’s pilot manufacturing facility near Portland, Oregon, and speed up deployment of its Ocean-3 series of facilities that “will perform AI inference computing at sea” with power generated from ocean waves.
“There are three sources of energy on the planet with tens of terawatts of new capacity potential: solar, nuclear, and the open ocean,” Panthalassa CEO and co-founder Garth Sheldon-Coulson said in a statement. “We’ve built a technology platform that operates in the planet’s most energy-dense wave regions, far from shore, and turns that resource into reliable clean power. We’re now ready to build factories, deploy fleets, and provide a sustainable new source of energy for humanity.” The deal, per the Financial Times, values the company at about $1 billion. “The future demands more compute than we can imagine,” Thiel said in a press release. “Extra-terrestrial solutions are no longer science fiction. Panthalassa has opened the ocean frontier.”
The company has some competition. Earlier this year, the San Francisco-based Aikido Technologies launched a new line of floating platforms for deep-water offshore wind turbines that include data centers built into the ballasts.
Allow me to give you a glimpse into the anxious mind of a young father: Sometimes, I distract myself from my fear over what global weather patterns might look like by the time my one-year-old daughter is my age with my more urgent terror over what particulate matter is entering her perfect little lungs and what microplastics sneak into even her home-cooked meals. Well, worry not! Turns out the two aren’t mutually exclusive. In theory, I knew this was always the case, since the rise of plastic pollution is at least somewhat spurred on by oil and gas companies making big money off the feedstocks for the cheap, single-use plastics that break down into dangerous tiny particles in our environment. But new research shows that microplastics in the atmosphere are actually magnifying the effects of climate change. In a new paper published in the journal Nature Climate Change, scientists in China and the U.S. outlined how tiny, colored plastic bits absorb sunlight as the wind blows them around the world, trapping heat and adding to temperature rise. “The plastic problem is not just in our blue oceans, it is also in the invisible skies above us,” Hongbo Fu, a co-author of the study and an atmospheric scientist at Fudan University in Shanghai, said at a press conference, per Bloomberg. “Climate models need to be updated.”
Sign up to receive Heatmap AM in your inbox every morning:
Like wave and tidal power, geothermal was once a sleepy corner of the clean energy world. But next-generation startups that promised to use new drilling techniques to harness geothermal energy in more places than ever thought possible are radically upending an industry that saw its largest power station — the Geysers in California — built in the 1960s and hitherto hadn’t aimed higher. Until a few years ago, next-generation geothermal drilling was esoteric even among energy nerds. But things change quickly in the modern energy business. Fervo Energy, the first major next-generation startup to prove that fracking technology could be used to revolutionize geothermal power, is now eyeing a $6.5 billion valuation. That’s according to a document the company filed with the SEC this week as it prepares to raise more than $1.3 billion in an initial public offering of its stock.
Fervo sees a big market. As Heatmap’s Matthew Zeitlin wrote last month when the company first filed to go public, Fervo told investors its reviewed leases represent over 40 gigawatts of energy. That’s equal to about 15% of all installed solar capacity in the U.S.

The United Arab Emirates already ranks as the world’s seventh-largest producer of crude, and could ascend as the country’s exit from the Organization of the Petroleum Exporting Countries frees Abu Dhabi to pump for oil. The UAE’s debut atomic power plant — the four-reactor, Korean-built Barakah station in Abu Dhabi — set a new standard for nuclear construction in a Western-aligned nation and vaulted the federation of monarchies to the forefront of global discussions about fission. Now the UAE is making a big move on solar. Abu Dhabi’s state-owned renewables developer Masdar has signed a deal with Emirates Water and Electricity Company to deploy more than 30 gigawatts of solar capacity and 8 gigawatts of batteries. “As the driving force behind the UAE’s energy transition, EWEC is at the forefront of a global shift towards sustainable, utility-scale power and water production,” Ahmed Ali Alshamsi, the utility chief in charge of the Emirates Water and Electricity Company, told PV Tech. “This CFA with Masdar is a pivotal strategic tool that empowers us to accelerate this transformation and meet 60% of Abu Dhabi’s total energy demand from renewable and clean sources by 2035.”
Norway led the world in electric vehicle adoption. It’s now at the forefront of autonomous vehicle adoption. Europe’s first self-driving bus without a supervisor onboard is set to be rolled out in the southwestern city of Stavanger following a recent regulatory change. While the bus still requires preparation by a human before operating, the project has been underway since 2022 and represents Europe’s most advanced public deployment of the technology.
Rob talks with the billionaire investor and philanthropist about how energy, Chinese EVs, and why he’s “very optimistic” that Congress will pass permitting reform this year.
If you work around climate or clean energy, you probably know about John Arnold. Although he began his career as a natural gas trader, Arnold has since become one of the country’s most important clean energy investors. He’s the chairman of Grid United, a transmission development firm undertaking some of the country’s most ambitious power line projects, and he is an investor in the advanced geothermal startup Fervo. He and his wife Laura run the philanthropic organization Arnold Ventures.
On this week’s episode of Shift Key, Rob talks with Arnold about the current energy chaos and what might come next. They discuss Arnold’s first trip to China, whether Congress might pass permitting reform this year, and what clean energy companies should learn from the fossil fuel industry.
Shift Key is hosted by Robinson Meyer, the founding executive editor of Heatmap News.
Subscribe to “Shift Key” and find this episode on Apple Podcasts, Spotify, Amazon, or wherever you get your podcasts.
You can also add the show’s RSS feed to your podcast app to follow us directly.
Here is an excerpt from our conversation:
Robinson Meyer: What needs to change or what needs to happen between now and, say, the end of the year for [a permitting deal] to actually get done?
John Arnold: So I think on an election year, it's very unusual for any big piece of bipartisan legislation to get passed, really, the whole year. And so what we're really looking at is most likely is that it would get passed after the election in the lame duck period. And so you start working backwards from there and really need to have language that's agreed upon in the next 45 days. It's hard to work over the summer. Congress scatters. Everybody scatters. Then you come back. There's a little bit of work time in September, and then everybody's focused on the elections. So the bill needs to get written today. And then again, in the next 45 days, and there's a lot of work happening behind the scenes. So again, sometimes it's hard to know exactly where it is, but everybody's saying the right things. There's been fits and stops to date, particularly when the administration hit the pause on offshore wind. They've made some changes. They brought Senator Whitehouse back to the negotiating table, for instance. So again, everything I think is looking good, but getting anything passed in D.C. these days might be a long shot.
You can also find a complete transcript of the episode on Heatmap.
This episode of Shift Key is sponsored by Salesforce.
Salesforce is the No. 1 AI CRM, where humans with agents drive success together. We invest in bold climate technologies and leverage agentic AI to accelerate nature-based solutions that benefit people and the planet. Learn more. You can also learn more about Salesforce's investments in watersheds here.
Music for Shift Key is by Adam Kromelow.